株型半紧凑,株高290厘米左右,叶鞘、叶缘、花丝均为紫色,叶片、颖壳为绿色,从出苗至成熟需要127天,与对照品种“先玉335”的熟期相同,属于中晚熟玉米。果穗筒型,穗轴红色,穗行数为18-20行,籽粒为黄色,马齿型。经鉴定,该品种中抗茎腐病,感大斑病、穗腐病、灰斑病、丝黑穗病。

一、特征特性
1、植株
(1)该品种为中晚熟玉米,株型为半紧凑型,株高为290厘米左右,从出苗至成熟需要127天左右,和对照品种“先玉335”的熟期相同。
(2)幼苗的叶鞘、叶缘、花丝为紫色,叶片、颖壳为绿色,花药为浅紫色。
(3)穗位高94厘米左右,成株叶片数为21片。
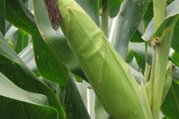
2、果穗、籽粒
果穗呈筒型,穗轴为红色,穗长18.7厘米左右,穗行数为18-20行。籽粒为黄色,马齿型,百粒重为34.6克。
3、抗性
经接种鉴定,该品种感大斑病、穗腐病、灰斑病、丝黑穗病,中抗茎腐病。
4、品质
籽粒容重为762克/升,粗脂肪含量为3.65%,粗蛋白含量为11.15%,粗淀粉含量为73.62%,赖氨酸含量为0.29%。

二、产量表现
1、2019-2020年参加联合体试验,两年区域试验平均产量为11845.2公斤/公顷,比对照品种“先玉335”增产3.6%。
2、2020年生产试验,平均产量为11328.5公斤/公顷,比对照品种“先玉335”增产3.6%。

三、种植要点
1、该品种适合种植在中等肥力以上的地块内,播种适宜时间为4月份下旬至5月份上旬,种植时可保留基本苗5.5-6万株/公顷。
2、种植时,每公顷土地需一次性施入750公斤玉米专用复合肥做基肥。

四、适宜种植区域
该品种适合种植在吉林省内的中晚熟玉米区,种植期间要做好大斑病、灰斑病、丝黑穗病、穗腐病的防治工作。